
Hiperactiva Escucha a diario toda la música de moda, con los grandes éxitos de conocidos artistas internacionales, en esta emisora online que retransmite al resto del mundo desde Minas de Corrales, Uruguay.
todayoctubre 28, 2025
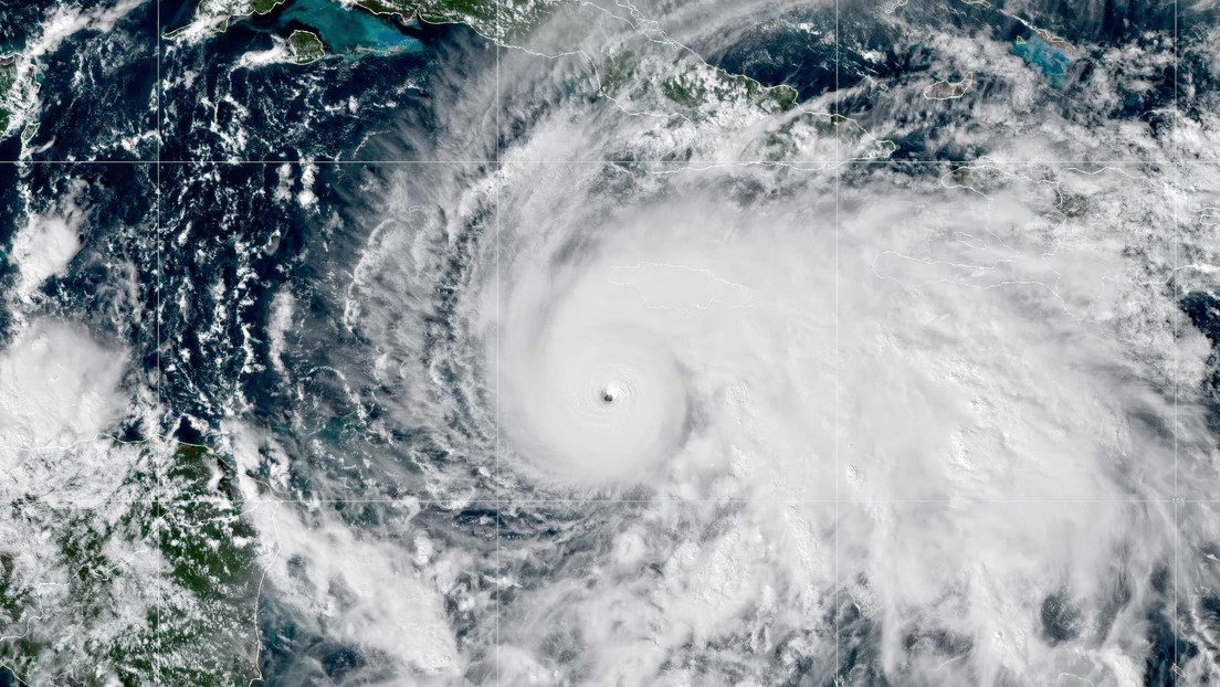
El avance del huracán Melissa continúa por el Caribe en dirección noreste, con una velocidad de unos 280 kilómetros por hora. Ante la posibilidad de que este martes por la mañana golpee las islas del sudeste de Bahamas, el Gobierno del país ordenó evacuar la zona.
El primer ministro y ministro de Finanzas de la nación, Philip Davis, anunció la decisión tomando en cuenta las recomendaciones de la Autoridad de Gestión del Riesgo de Desastres (DRM, por sus siglas en inglés), que advirtió que las condiciones podrían empeorar el miércoles.
L’ouragan #Melissa vient de passer en catégorie 5 avec des vents à 260 km/h alors qu’il se situe à 200 km au Sud de la capitale de la Jamaïque. Le système commence également à incurver sa trajectoire vers le Nord ce qui l’amènera à touche terre demain.Jusqu’à 1 000 mm de pluie… pic.twitter.com/LsCAHUD6dr
— CATastrophesNATurelles.net (@catnatnet) October 27, 2025
«Este aviso se emite para garantizar que las personas más expuestas puedan ser reubicadas con seguridad antes de que las condiciones empeoren«, expresó. La medida abarca a las islas turísticas de Inagua, Acklins, Crocked, así como Mayaguana y Ragged.

De acuerdo con la DRM, hay alta probabilidad de que esa región resulte afectada por inundaciones y fuertes tormentas, por lo que advirtió que no seguir las recomendaciones oficiales puede poner en riesgo la salud o la seguridad de las personas.
Aunque se prevé que el sudeste del país sea la zona más perjudicada por el paso de Melissa, el Gobierno bahameño también emitió alertas para las islas del centro ante el posible alcance de los efectos del huracán.
Según las previsiones, Melissa impactará en la tarde de este martes sobre Jamaica como huracán de categoría 5, a unos 270 kilómetros por hora. En tanto, para la madrugada del miércoles se espera que llegue a Cuba, pero con categoría 4 y a unos 220 kilómetros por hora. Más tarde, el centro del fenómeno atmosférico arribaría a Bahamas como huracán de categoría 2, con ráfagas de unos 175 kilómetros por hora.
Escrito por hiperactivafm
Conduce Noel Castro
18:00 - 20:00
20:00 - 00:00
00:00 - 06:00
Conduce Noel Castro
06:00 - 09:00
De lunes a viernes de 9 a 12
09:00 - 12:00
Copyright Hiperactiva FM - Diseño y streaming por Tacuatec